1 Total Photos [Click to View All]
Listed By
Agency Name: ERA Key Realty Services
Agency Phone: 508-234-0550
Agent Name: Shawn Towle
Shown By
Agent Name: Alisa Cusack
Agent Phone: (781) 690-8840
Agency Title: Donahue Real Estate Co.
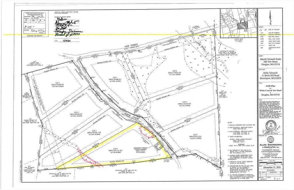
Outdoor enthusiast last lot Available on White Ct (8 lots total on White Ct), in area of new homes currently being constructed, beautiful level lot with privacy, 2.39 Acres last lot located at the end dead end street, lot shown as Lot 4 on attached plan (small amount of wetland which has been flagged should have little to no impact) , in area of Blissful Meadows golf course plenty of privacy recent percs (on abutting lots) indicate low ground water good per rates, plenty of wildlife, minutes to Rte 146 and Blissful Meadows Golf course
Estimated Payment
$ 302.07 per month $267.07 Principal & Interest $0.00 Property Tax (data not provided by mls) $35.00 Homeowner's InsuranceListed By
Agency Name: ERA Key Realty Services
Agency Phone: 508-234-0550
Agent Name: Shawn Towle
Shown By
Agent Name: Alisa Cusack
Agent Phone: (781) 690-8840
Agency Title: Donahue Real Estate Co.
Send an email with a link to
0 White Ct - Lot 4, Douglas, MA 01516.
Contact an agent to learn more about
0 White Ct - Lot 4, Douglas, MA 01516.
Thank you for your inquiry! As a thank you, we have a Special Mortgage Offer for You.
We would like to provide you a free, no-obligation, home loan pre-approval review.